Showing 113 of 113on this page. Filters & sort apply to loaded results; URL updates for sharing.113 of 113 on this page
Just A Car Guy: Have you seen the 1969 Cyclone built for Optima Jim ...
12 Gauge Cyclone Series Buckshot - Beretta Optima HP – Rectifire
Optima Thunderhills East with Cyclone - YouTube
12 Gauge Cyclone Series Buckshot - Beretta Optima Plus – Rectifire
Jim McIlvaine’s 1969 Mercury Cyclone at the 2019 OPTIMA Ultimate Street ...
12 Gauge Cyclone Series Turkey - Beretta Optima HP – Rectifire
Штатна магнітола Cyclone C9-007 4+64Gb. DSP. CARPLAY. 4G KIA Optima K5 ...
Cyclone exhauster OPTIMAT RLA 3700 2850 m3/h 400V | Mar-masz.pl
Tropical cyclone | Definition, Causes, Formation, and Effects | Britannica
Преобразователь напряжения (инвертор) Cyclone AС-500 – фото, отзывы ...
How to prepare for a cyclone - Australian Geographic
Investigating vertical wind shear influences on tropical cyclone ...
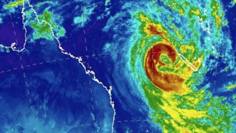
Australia’s most powerful cyclone in 8 years to cross coast | The Hill
16.1: Tropical Cyclone Structure - Geosciences LibreTexts
7 Facts About Cyclone Oma - Bushman Tanks
600+ Free Cyclone & Mandala Images - Pixabay
Category 3 Severe Tropical Cyclone Olga Rapidly Intensifies Just ...
Tropical cyclone
What a Bomb Cyclone Looks Like From Space - Newsweek
NASA-NOAA satellite looks at large-eyed Tropical Cyclone Oma
Improved climate models enhance tropical cyclone predictions | NOAA ...
A Moonlit 3D View of Tropical Cyclone Oma from the ISS – February 20 ...
Tropical cyclone - Location, Patterns, Forecasting | Britannica
Tropical Cyclone Diagram
Fantala strongest cyclone on record for Indian Ocean – Two other ocean ...
Products Archive - Optima
Premium Photo | Massive Cyclone similar to Irma in the Atlantic Ocean
NASA's Aqua satellite snaps new image of Tropical Cyclone Herold ...
Cyclone Oma Approaching the Fraser Coast - The Fraser Coast Beacon
15UTC: cyclone OMA(15P): forecast to dissipate(below 35knots) in 3 days
Large-scale conditions associated with the development of the cyclone ...
Tropical cyclone names - Met Office
Cyclone Dana: East coast braces for cyclone as low pressure strengthens ...
Ex-Tropical Cyclone Oma batters Qld coast with 12m waves | Sky News ...
Are you ready for Cyclone Oma? – Critical Power Solutions
Aon enhances its global tropical cyclone models with climate risk ...
Tropical Cyclone Oma - Storm Science Australia
Сабвуфер Cyclone SB-250 – фото, відгуки, характеристики в інтернет ...
132,600+ Cyclone Stock Photos, Pictures & Royalty-Free Images - iStock
Автомобільні світлодіодні лінзи Cyclone LED BF02 2.5" 6000K – фото ...
Cyclone Ilsa makes landfall in Australia as powerful category 5 storm ...
Cyclone Oma: South-east Queensland braces as warning upgraded to category 3
Cyclone Oma batters Queensland’s coastline | news.com.au — Australia’s ...
Powerful Tropical Cyclone Fantala April 16 2016 - Extreme Storms
Tropical cyclone Oma on its way towards northeast Australia this ...
Severe Tropical Cyclone Oma 2019 | Zoom Earth
LAP Electrical Cyclone 610mm 12V/24V R65 Amber TITAN Lightbar - LBC244 ...
Tropical cyclone Oma » Severe Weather Europe
Jobs at Optima Dermatology
Tropical Cyclone Dynamics - 知乎
Tropical cyclone - Wikipedia
Камера заднього виду огляду для Kia Optima 2014-2015. (95760-2T650 ...
Optima Orca | Radical Design
Світлодіодні лампи Qline Optima D3S 6000 K (2 шт.), ціна 3199 ₴: купити ...
CYCLONE ULTRA
The Biggest (And Best) Day Of Cyclone Oma - YouTube
Ultimate Cyclone [Extended Version] - filedear
The Unprecedented Number of Cyclones Raging Across the Globe At Once
Lifespan Improvements and Optimisation of Classification Cyclones | HMA ...
I've always wondered: how do cyclones get their names?
Blooming cyclones | RNZ
How Do Cyclones Form? | Britannica
Higgins Storm Chasing | Tropical Cyclones What are they & how do they form?
CYCLONEMAX NXP USA Inc. - CYCLONEMAX 全新原装现货 - 香港逸昇科技有限公司
ଭୀଷଣ ବାତ୍ୟାରେ ପରିଣତ ହେଲା ‘ରେମାଲ’
The science behind the eye of a storm
Nike Phantom 6 High Academy Tacos de fútbol para terrenos múltiples ...
2nd hand Golf balls - Golf Balls - Dalby, Queensland | Facebook ...
Tacos de fútbol para pasto artificial Nike Phantom 6 High Elite. Nike.com
Assorted Coolers - Camping Coolers - Clinton, Utah | Facebook ...
Blue velvet trundle bed - Beds & Bed Frames - Alta, Utah | Facebook ...
Patriot Wreath Ribbon - Wreaths, Garlands & Plants - Sandy, Utah ...
VEVOR Electric Cow Milking Machine 6.6 Gal Portable Milker - Mixers ...
Meuble antique 1936 - Desks - Joliette, Quebec | Facebook Marketplace ...