Showing 117 of 117on this page. Filters & sort apply to loaded results; URL updates for sharing.117 of 117 on this page
bunsod shell - YouTube
fresh Saang and bunsod from bantayan island.... - YouTube
Amazon.com: Giant Natural Conch Shell, Murex Ramosus Shell (1 Shell 7.5 ...
Bunsod | Smithsonian Photo Contest | Smithsonian Magazine
HOW BUNSOD FISHING WORKS - YouTube
The REASON behind catching the small fish in the BUNSOD | Buhay ...
BUNSOD 2 | FISH TRAPPED Mabini, Bohol, Philippines 🇵🇭 . - YouTube
BUNSOD FISHING ADVENTURE (plenty of fish) | BUHAY PROBINSYA | The ...
Mukbang bunsod seafoods bantayan island - YouTube
The Linux Bourne Shell Explained
BUNSOD FISHING | FISH CORRAL | FISHING METHOD PHILIPPINES - YouTube
Bunsod Fish Trap Ep 1 #fishing - YouTube
Shell fauna hi-res stock photography and images - Alamy
Detailed shell art Cut Out Stock Images & Pictures - Alamy
BUNSOD FISHING | Catch & Cook - YouTube
Catch and Cook Bunsod Fish trap Ep 5 #fishing - YouTube
Bunsod - Fish trap in Philippines
Pagkasira ng flood control projects, bunsod umano ng nagdaang kalamidad ...
BUNSOD Fishing. Another way of fishing in the Philippines - YouTube
BUNSOD fishing / FishTrap - YouTube
Low tide bunsod fishing #viralreels #highlightseveryonefollowers ...
Contracts Coordinator at Shell
Bunsod Day#9 Small Fish, Isda sa Bato, Matang Baka - YouTube
AFP, naka-red alert status bunsod ng mga kilos protesta kontra sa ...
Bunsod FBC
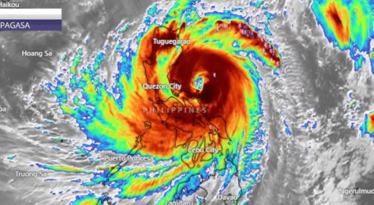
Batanes, isinailalim na sa state of calamity bunsod ng Super Typhoon Julian
Bunsod - Fish trap in... - Bunsod - Fish trap in Philippines
Shell (2024)
Shell Locations
Modyul6-KALAGAYAN NG MGA MARALITANG PILIPINO BUNSOD NG GLOBALISASYON | PDF
MALAWAKANG PAG-ULAN, NARARANASAN SA LALAWIGAN NG PANGASINAN BUNSOD NG ...
Shell Structure Examples Aesthetics, Geometry And Structures In Shell
Ilang bahagi ng Japan, binaha bunsod ng marinding buhos ng ulan - Bombo ...
Download Abalone Colorful Shell Textures Wallpaper | Wallpapers.com
A Challenge to American Oil Giants: Shell Plans to Acquire BP - all the ...
5 pang suspek, inaresto bunsod ng Louvre Heist sa Paris
Tempura Soft Shell Crab Bao Bun - Jecca Chantilly
DFA, siniguro na nasa maayos na kalagayan ang mga Pilipino sa US bunsod ...
Ilang barko ng China namataang umalis sa Panatag Shoal bunsod ng ...
Metro Manila at CALABARZON, nasasailalim na sa red alert bunsod ng ...
Shell boosts dividend after $28 billion profit for 2023 | Reuters
FISH TRAP ( BUNSOD ) - YouTube
58 na mga pantalan, nagkansela ng kanilang mga trips bunsod ng Bagyong ...
Baha bunsod ng storm surge at high tide, nararanasan sa Dagupan City ...
Storm surge warning sa Palawan, inilabas ng pagasa bunsod ng pananalasa ...
BUNSOD ADVENTURE Part 3 | DANGGIT | NEGROS #fishing #dagat#negrosisland ...
Sand sea shell in Black and White Stock Photos & Images - Alamy
Sea shell mollusk hand Cut Out Stock Images & Pictures - Alamy
OCD nananawagan ng ibayong pag-iingat bunsod ng Bagyong Mirasol
Shell limestone rock Cut Out Stock Images & Pictures - Alamy
Mahigit 11-M, halaga ng pinsala sa corals bunsod ng parachute anchor na ...
What is Shell? | CLI vs GUI | Shell Scripting Explained
Mga Suliraning Pangkapaligiran Bunsod ng Urbanisasyon ng Pangkat 2 VIII ...
CEBU, ISINAILALIM NA SA STATE OF CALAMITY BUNSOD NG MAGNITUDE 6.9 NA ...
Mahigit 10, patay sa landslides at flash floods bunsod ng malakas at ...
Tank Shell Description at Michelle Peckham blog
Secrets Of Florida's Canaveral Shell Mound Artifacts | TouristSecrets
State of Calamity, idineklara sa Surallah, South Cotabato bunsod ng El Niño
Supply ng tubig, kuryente problema pa rin sa Tagaytay bunsod ng Taal ...
bunsod fishing.for more videos click this channel & feel free 2 ...
5 rehiyon isinailalim sa red alert status bunsod ng Super Typhoon ...
Shell Singapore
Sea Shell Collection
Ilang tindero ng baboy, umaaray dahil sa tumal ng bentahan bunsod ng ...
Higit 900k mula sa 11 na rehiyon, inilikas bunsod ng super typhoon Uwan ...
Rockslide, naitala sa Bauko, Mt. Province bunsod ng nararanasang habagat
Regular Visitor may pawikan sa bunsod fish trap Ep 6 #fishing - YouTube
CRITTER: Meet pupu‘ala the puka shell - The Garden Island
Joy L Bunsod
CIAC congratulates Shell on announcement to build carbon capture and ...
Asuncion, Davao del Norte, nagdeklara ng state of calamity bunsod ng ...
Mahigit 40 estudyante sa Batangas, isinugod sa mga ospital bunsod ng ...
Speed Metal Shell - Destinypedia, the Destiny wiki
Pangunahing bilihin sa merkado, sumipa bunsod ng bagyo – saksipinas
PUBLIKO, HINIMOK NG HEALTH AUTHORITIES NA MAGSUOT NG FACE MASK BUNSOD ...
50 Cal Bullet Shell Casing
Things to Try When your Reverse Shell Fails - TCM Security
“Bunsod” fish trap back home Philippines #fishing #freshfish - YouTube
Shells of marine animals hi-res stock photography and images - Alamy
Download Scallops Pile Of Brown Shells Wallpaper | Wallpapers.com
Mussel types hi-res stock photography and images - Alamy
A Guide to the World's Most Expensive Shells
107408618-1714559907436-gettyimages-2069265861-shell-1.jpeg?v ...
Catching Fish, Crab, Shrimps & etc. |Bunsod Sea Foods| Part 1| - YouTube
18 Delicious Puff Pastry Shells Recipes for Every Occasion | Pan Mastery
Seashell Vector Clipart Chicago
8 Types of Linux Shells
Taco Shells Air Fryer at Krystal Russell blog
Baked Tostada Shells (Vegan, Gluten-Free) ~ Veggie Inspired
The Holy Grails of Southern Shells – Garden & Gun
Official Website of the Provincial Government of Quezon
UV Light Reveals Surprising Seashell Secrets From 240 Million Years Ago ...
Beach Shells Wallpapers - Wallpaper Cave
The BEST sandwich I've ever made: Fried Softshell Crab - Alessandra Ciuffo
Banded Cut Out Stock Images & Pictures - Alamy
What the Shell? Identifying Seashells – Beachcombing Magazine
I found shells at Navarre Beach in Florida at a less-visited beach ...
Horizaont hi-res stock photography and images - Alamy
The Benefits of Using Crushed Sea Shells in Your Soil
catching the turtle and set it free,bunsod fishing,subscribe 2 this ...
Empty mollusc shells hold the story of evolution, even for extinct ...
Buffalo Chicken Shotgun Shells Recipe | Fire & Smoke Society
NHA, pormal nang ipinamahagi ang mga housing unit para sa higit 100 ...
Marikina Mayor Marcy Teodoro at iba pang mga opisyal ng lungsod ...
Coreopsis 'Incredible! Sea Shells Mix' - Seeds
Cagayan Provincial Information Office - PHO CAGAYAN, NANAWAGAN NG PAG ...
Bayan ng Bulalacao sa Oriental Mindoro, isinailalim sa State of ...
Pin by on Bleu de Chanel | Sea shells, Blue aesthetic, Art reference